中购联手机网
杨浦滨江再添商业巨擘‘超级合生汇’!
时间:2024-10-25
来源: 小探寻房
合生集团
超级合生汇方案公示
杨浦滨江再添商业巨擘!
日前,上海市规划和自然资源局正式公示了杨浦区定海社区O1A-01、O1B-01 地块商业办公项目建设工程设计方案,即合生集团在杨浦滨江杨树浦路以南的商办项目。

地块商业办公项目建设工程设计方案
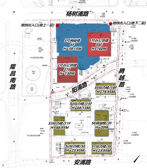
合生杨浦滨江商办项目,东至腾越路,南至安浦路,西至隆昌南路,北至杨树浦路,由2个地块组成,总用地面积48352.16平方米,总建筑面积444504.56平方米,其中地上建筑面积274504.56平方米(含计容建筑面积:259483.75平方米),地下建筑面积170000平方米,南地块容积率为2.68,北地块为9.23。

合生杨浦滨江项目效果图
根据公布方案,北地块总用地面积21042.78平方米,总建筑面积277451.16平方米,其中地上建筑面积206756.25平方米(含计容建筑面积194197.65平方米),地下建筑面积为70694.91平方米,由1幢6层的商业楼和2幢高度分别为130米和160米的办公楼所组成。
而南地块总用地面积24364.18平方米,总建筑面积156159.15平方米,其中地上建筑面积67748.31平方米(含计容建筑面积65286.10平方米),地下建筑面积88410.84平方米,由6幢5-18F层的楼宇所组成,呈南低北高布局,其中6号楼为3层的商业。
另外在此份方案中,北地块的东北角和西北角还分别为24号线预留了一个地下地铁出入口和一个地上出入口。


超级合生汇部分业态 以实际运营为准
目前合生在杨浦有两个项目,一个是杨树浦路以北的住宅项目-缦云上海,另一个是杨树浦路以南的超级合生汇,同时B站总部商业部分也是由合生规划新建和运营的。而超级合生汇宗旨是围绕着泛文化、体育、娱乐与生活,不以纯粹招商型购物中心为出发点,更希望提供非零售非餐饮类内容,整个项目预计在2027年左右陆续建成。

超级合生汇项目效果图 图片来源于网络
对于合生来讲,如果五角场合生汇是1.0版的话,那么超级合生汇落户杨浦滨江则是4.0版本,更加的动感,更加的国际化。如果说五角场是区域的明星,那么滨江合生汇则是国际的明珠。
此次超级合生汇的落地,不仅使杨浦滨江的商业版图进一步得到扩展和升级,更是为这片充满活力的区域注入了新的生命力。在为杨浦滨江这片区域带来更加多元化和高端商业服务的同时,也将提升整个杨浦滨江的生活品质和区域价值。

中交滨江广场
如今杨浦滨江南段云集中交、中节能两大央企巨头,其中率先完工的中交滨江广场也迎来了首批入驻企业,中交旗下的中交海外工程、中交疏浚、中交融资租赁、中交房地产等企业均将进驻。

中国节能上海首座
而由扎哈哈迪德公司主导设计的中国节能上海首座项目,也预计在明年上半年竣工交付。

杨浦滨江创智中心

哔哩哔哩新世代产业园
而在大桥东区域,三大产业项目杨浦滨江创智中心、美团上海科技中心、哔哩哔哩新世代产业园项目也正在夜以继日地施工中,将在2026年前后陆续交付投入使用。未来,随着这些重大产业项目的陆续交付使用,杨浦滨江将不再是一个简单的地理名词,它将成为上海乃至全国的创新高地,是人们心中的“人才秀带”,”生活秀带“,“创新秀带”。
杨浦滨江新盘

翠湖滨江
内环滨江花园别墅——翠湖滨江,主力建面约160-410㎡低密别墅,为塔尖生活打开全新的想象。臻境样板空间已开放,恭迎品鉴。

北京城建&越秀杨浦长白社区项目
目前设计方案已公示,未来将建设2栋17-18F高层,1栋8F洋房,还有1栋4-6F多层,另有1栋5F公租房和1栋社区物业配套用房。项目位于杨浦内中环,距离8号线延吉中路站直线约1公里,距离12号线隆昌路站直线约700米。

中建壹品·外滩源著
定海街道154街坊项目案名正式亮相,中建壹品·外滩源著即将开放样板间,推出建面约99-123-143㎡高层,风貌别墅产品预计明年入市。这是继中建壹品·浦江之星项目后,中建壹品在杨浦滨江东外滩拿下的第二宗地块。

兴华里
杨浦内环滨江「兴华里」,将推出建面约75-85㎡高层,联动价12万/㎡。还有建面约130-154㎡联排别墅,联动价18万/㎡。预计下半年入市!

桐安里
杨浦滨江又迎低密风貌项目,招商平凉项目定名「桐安里」,将推出约185、235、305㎡风貌别墅,户型包含联排、叠加产品,仅70套。
上一篇:中关村领展14周年店庆
版权与免责声明
1、"中购联网"的所有作品,包括文字与图片,未经本网授权不得转载。违反上述声明者,本网将依法追究法律责任。
2、凡注明"来源:非本站"的作品,均转载自其它媒体,本网转载的目的在于传播更多信息,此类稿件并不代表本网观点,本网不承担此类稿件侵权行为的直接责任及连带责任。
3、如因作品内容、版权等需要同本网联系的,请在作品在本网发表之日起30日内联系,否则视为放弃相关权利。